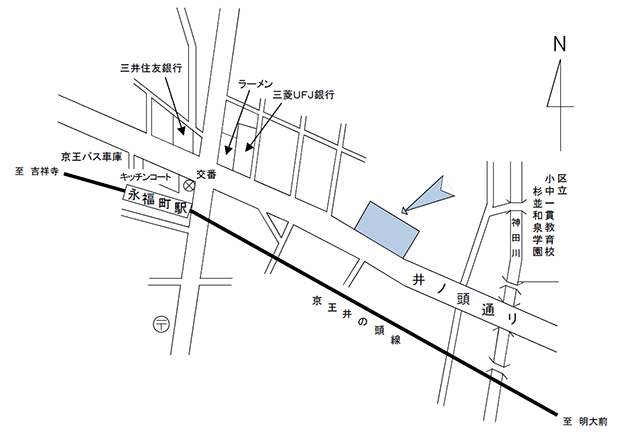
杉並営業所
- 所在地
-
: 〒168-0063 杉並区和泉3-8-10
※お申込み、お支払いのご相談、その他お問い合わせは水道局お客さまセンターに
ご連絡ください。 - 交通
- : 京王井の頭線 永福町駅から 徒歩5分
- 担当区域
- : 杉並区内全地域
令和元年7月5日現在
記事ID:081-001-20240819-006990